List Price: $259,000 | 22.3 Acres | Price Per Acre $0 | Total Lots 2 Land


Date Listed Monday Sep 22, 2025 | MLS# 5062538



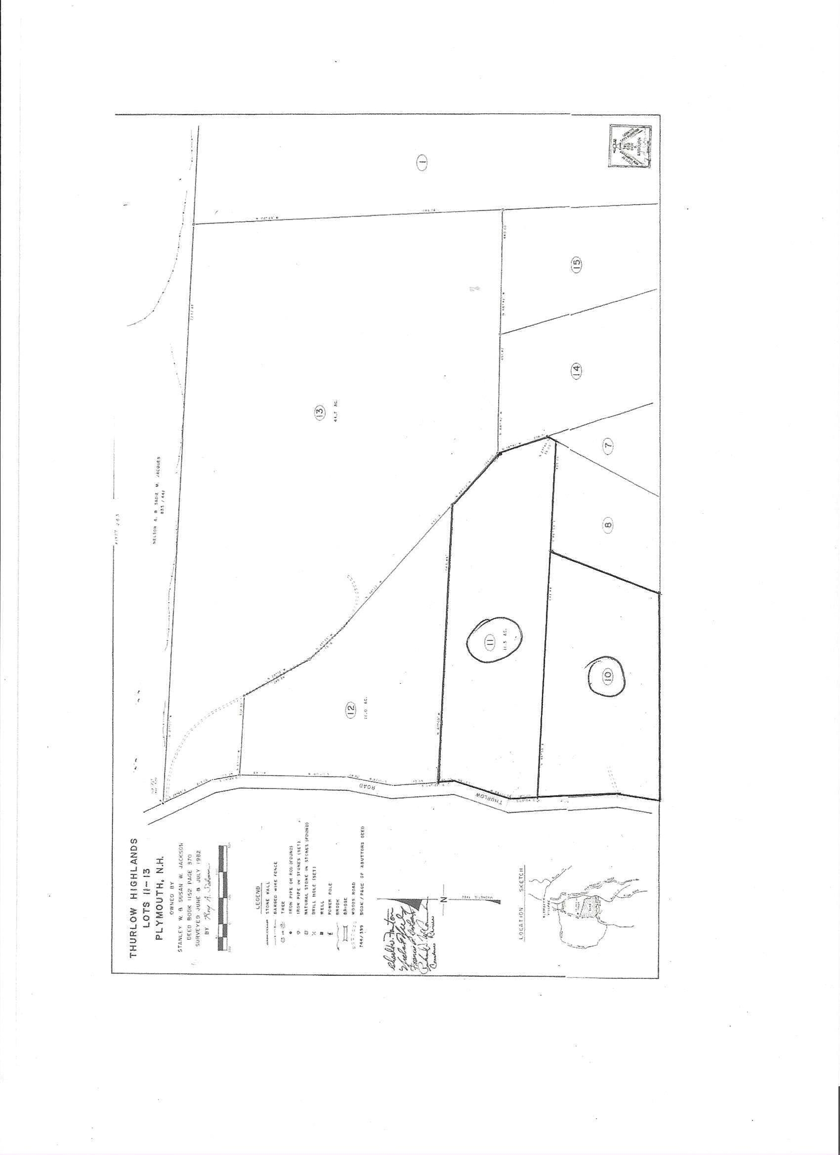
Address: M 230 L 21&22 Thurlow Street Plymouth NH
Listed by Donald Goudreau EXP Realty Cell: 603-370-0798
Description:
Privacy galore yet only 1 mile to downtown! This listing is comprised of 2 surveyed lots on individual property cards. Use as one large lot or build 2 homes, can you say family compound? If you build way up on the roughed in driveway you can take advantage of the gorgeous mountain views to the West and North. One of the lots is totally wooded and the other has the roughed in driveway with a flat proposed building site at a high elevation. There is $60K in engineering and surveys on these lots and proposed house plans if you wish. Come get away from it all 2 minutes to the city!
Land Description: Mountain | Near Shopping | Near Skiing | Mountain View | Open | Rolling | Sloping | Timber | Wooded | Near Hospital

Land Description
Lot Size: 22.3 acres
Open Space: 13 acres
SuitableUse: Residential
Zoned: SFR)
Surveyed: Yes
SurveyedBy: Horizons Engine
Flood Zone: No
Land Services
Road Frontage: 898
Electric: On Adjacent Property
Water: On-Site Well Needed
Sewer: On-Site Septic Needed
Additional Information
Docs Available : Aerials | Building Plans | Deed | Plot Plan | Property Disclosure | Survey | Tax Map
Block - 021 & 02
Taxes $21
Assesed Value Not Reported
Schools
School District: Plymouth

© 2000-2025 Big Green Real Estate
NEREN Logo
5 Old Nugget Alley, Hanover, NH 03755 603-643-3942
CONTACT STAR

Big Green Real Estate is not affiliated with nor officially sanctioned by Dartmouth College

Copyright © 2025 PrimeMLS, Inc. All rights reserved. This information is deemed reliable, but not guaranteed. The data relating to real estate displayed on this display comes in part from the IDX Program of PrimeMLS. The information being provided is for consumers’ personal, non-commercial use and may not be used for any purpose other than to identify prospective properties consumers may be interested in purchasing. Data last updated October 4th, 2025

PLEASE NOTE: Both New Hampshire and Vermont law require brokers and agents to disclose at the “time of first business meeting, prior to any discussion of confidential information”, in New Hampshire’s case, and “first reasonable opportunity”, in Vermont’s case, the nature of the relationships brokers have or may have with customers and clients. Each state requires that a disclosure form be presented to consumers for their review and acknowledgment at the appropriate time. These forms can be accessed at the following websites and you are encouraged to read these documents.Big Green Real Estate chooses as a business model to represent both buyers and sellers; please do not assume, without any contractual agreement otherwise, that Big Green Real Estate at this time represents your interests as an agent.
VT: VERMONT REAL ESTATE COMMISSION MANDATORY CONSUMER DISCLOSURE FORM
NH: NEW HAMPSHIRE REAL ESTATE COMMISSION BROKERAGE RELATIONSHIP DISCLOSURE FORM